Plant Care, Home Styling, and Plant Information
Indoor Jungles - What Are They? 5+ Benefits & M...
Are you a plant lover looking to bring some greenery into your home? Look no further than the latest trend of indoor jungles. These spaces, filled with a variety of...
Indoor Jungles - What Are They? 5+ Benefits & M...
Are you a plant lover looking to bring some greenery into your home? Look no further than the latest trend of indoor jungles. These spaces, filled with a variety of...
Begonia Rex: Easy Tips To Grow a Happy and Heal...
Caring for Rex Begonia's can be tricky, but if you understand their needs you can grow this beautiful houseplant without issue. Follow our tips and tricks for a gorgeous houseplant!
Begonia Rex: Easy Tips To Grow a Happy and Heal...
Caring for Rex Begonia's can be tricky, but if you understand their needs you can grow this beautiful houseplant without issue. Follow our tips and tricks for a gorgeous houseplant!
Succulent Plant Care for Beginners - Everything...
Succulents, both indoors and out, have been all the rage for a few years now. Whether in cute pots on your bookshelf or the window ledge in a brightly painted...
Succulent Plant Care for Beginners - Everything...
Succulents, both indoors and out, have been all the rage for a few years now. Whether in cute pots on your bookshelf or the window ledge in a brightly painted...
Everything You Need to Know About Houseplant Pests
Bugs happen. We will teach you why bugs are drawn to your plant, how to get rid of them, and how to prevent them from coming back.
Everything You Need to Know About Houseplant Pests
Bugs happen. We will teach you why bugs are drawn to your plant, how to get rid of them, and how to prevent them from coming back.
3 Best Houseplants for Beginners in 2022
If you are new to plants, you need to know easy plants for beginners. This article will help you choose which plant is right for you and your space.
3 Best Houseplants for Beginners in 2022
If you are new to plants, you need to know easy plants for beginners. This article will help you choose which plant is right for you and your space.
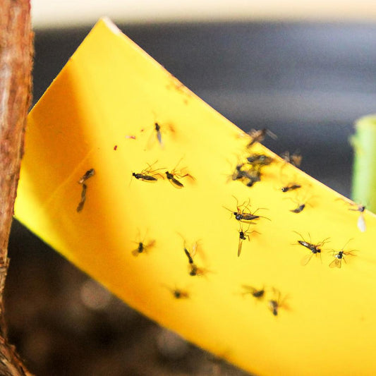
How to Get Rid of Fungus Gnats on House Plants
Fungus gnats are a common pest of indoor house plants. Learn how to get rid of them, and how to prevent bugs from coming back.
How to Get Rid of Fungus Gnats on House Plants
Fungus gnats are a common pest of indoor house plants. Learn how to get rid of them, and how to prevent bugs from coming back.
ENTER YOUR EMAIL TO SAVE 15% OFF YOUR FIRST ORDER
Be the first to know about new collections and exclusive offers.
Gold Leaf Gift Card
Share with friends!
